Ihr Partner mit Weitsicht
Die RISTAG Ingenieure AG zählt zu den bekannten Ingenieur- und Vermessungsbüros in der Schweiz. Dank der interdisziplinären Zusammenarbeit unserer Abteilungen sowie dem innovativen Denken unserer qualifizierten und engagierten Mitarbeitenden entwickeln wir massgeschneiderte Lösungen für anspruchsvolle Bauprojekte.
Dienstleistungen
Von uns erhalten Sie exakt, was Sie brauchen. Wir begleiten jedes Bauprojekt mit präzisen Messdaten und lösen bauliche Herausforderungen rund um die öffentliche Infrastruktur.
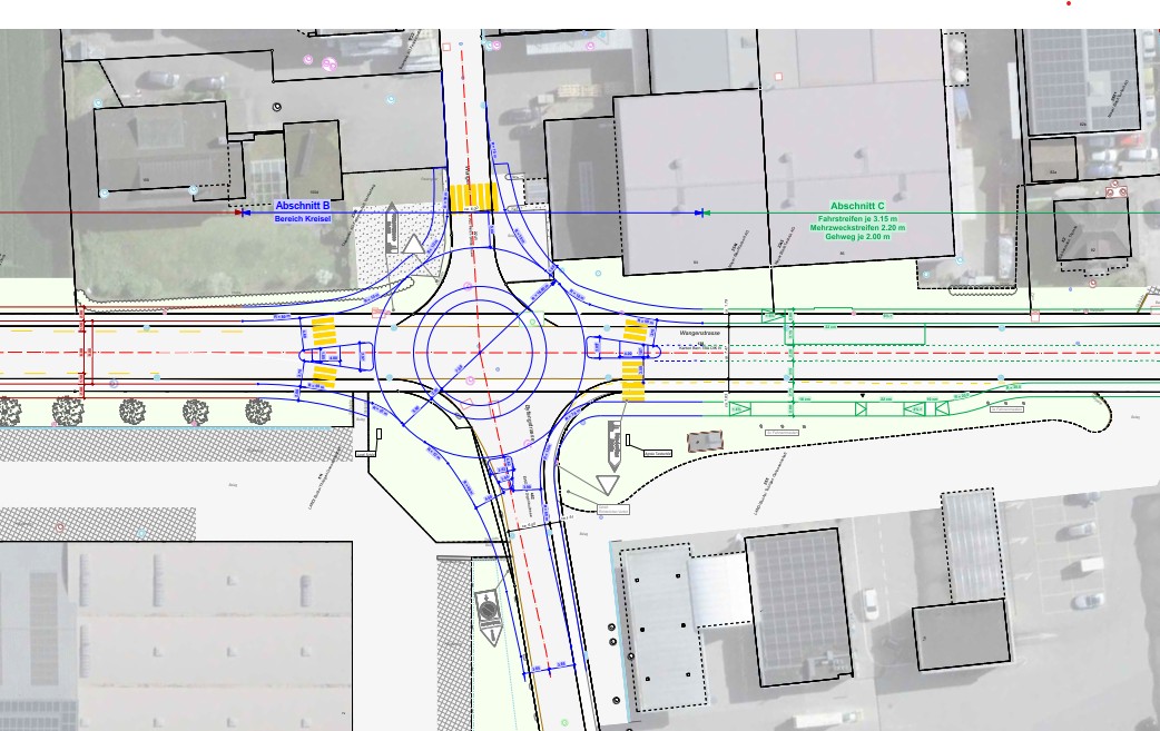
Referenzen
Hier erfahren Sie, wie spannend und vielseitig unsere tägliche Arbeit ist. Lassen Sie sich von unseren erfolgreich Projekten inspirieren.
News
Was uns fordert, beschäftigt, freut, verändert oder fehlt, verraten wir Ihnen in der News-Rubrik im Detail.